
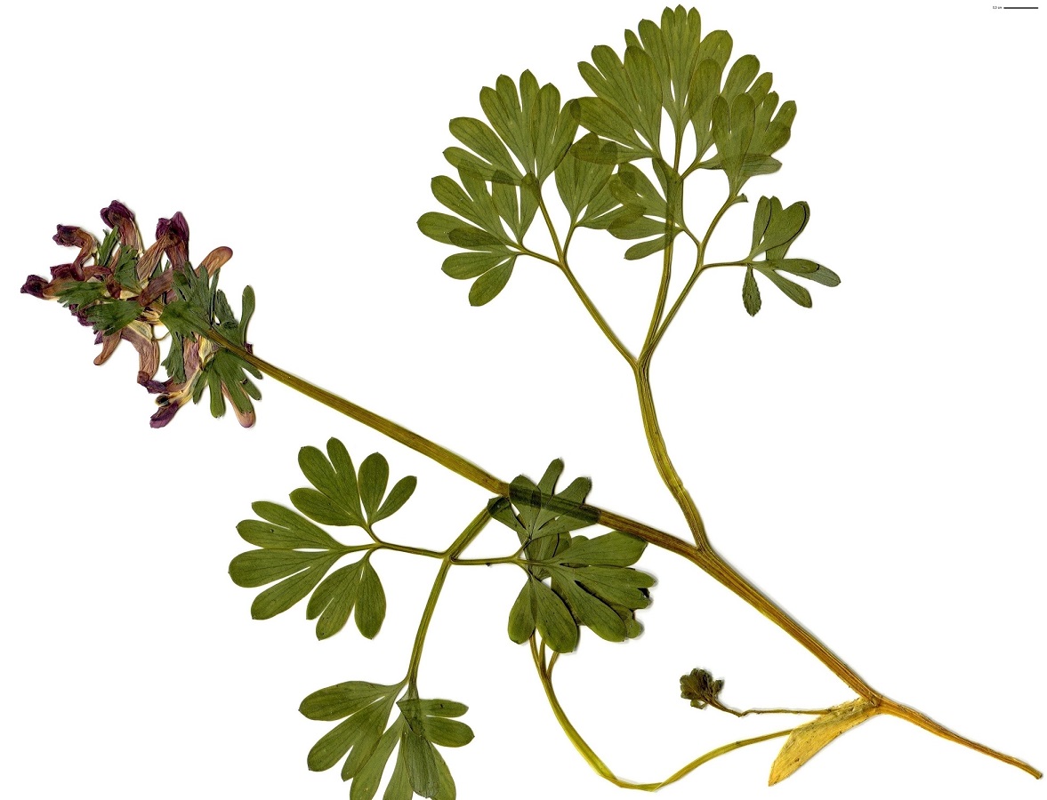
Corydalis solida (Papaveraceae)

- nc

Corydale à bulbe plein

- Corydale solide

nc

- nc

1685
Description Morphologique
G à tubercule – 1-2 dm – Feuilles, découpées en segments incisés-lobés, à écaille basale – Grappe de fleurs pourprées à éperon long, bractées digitées – Fruit elliptique pendant